Twyford Bridge to King's Sutton
This is in two parts:
1 - The line between Twyford Bridge - King's Sutton
2 - King's Sutton station.
and with few exceptions a historical overview from the steam era.
1 - The line between Twyford Bridge - King's Sutton
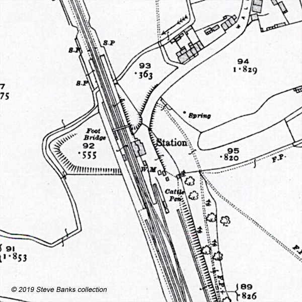
{modal images/historical/banbury_station_and_loco_shed/twybr-ks/os_1in_ks_1960_nls_1000_800_72u.jpg|title=|width=1000|height=800}
{/modal}
OS 1" map of 1960 showing Twyford Bridge and the station at King's Sutton. Source: National Library of Scotland
This is of a particularly photogenic stretch of line that is well known to modern photographers.
Before the railway came Twyford Wharf was a hub on the Oxford Canal with Twyford Mill on the River Cherwell nearby. When the railway came it ascended gently from Oxford but steepened briefly here to 1:386. It passed close to the mill and cut off the farmland east of the line, known as King's Sutton Lodge, to which access was provided by a modest occupation bridge. The main road crossed over by what is shown on larger scale maps Twyford Bridge.
A mile to the south a station was built for the village of King's Sutton and its name mispelled by the GWR as "Kings Sutton", which has not exactly pleased local people, especially in modern times when there is a greater historical awareness. It became a junction station when the Banbury and Cheltenham direct line was built and after the GCR London Extension was built (not the "GC Main Line", please...) it carried cross-country trains to South Wales.
The pictures below are in geographical sequence, beginning with the area around Twyford Bridge.
{modal images/historical/banbury_station_and_loco_shed/twybr-ks/5022_twy_bri_1958_8_2_swb_1333_800_72s.jpg|title=|width=1333|height=800}
{/modal}
Looking north from Twyford Bridge with the occupation bridge between the signals on 2nd August 1958. Note the repeater on the distant signal, just above ground level with a shield behind it. 5022 Wigmore Castle is powering southwards down the grade with an express.
During construction a triangle of land to the left of the line was used to dump spoil and a small hill was produced with a flat top which turned into a small wood. As can be seen, the cutting used to be well-maintained but that has gone the same way in recent years.
On the other side of the cutting a row of Scots Pine was planted in an effort to screen the railway and its earthworks from King's Sutton Lodge which overlooked it but is off this picture - people were sensitive to the iron road in those days. The pines matured over the years and getting on for half have caused problems and been felled: several have gone since I moved here in the 1970s but you can still see what had been intended. Photo: S.V. Blencowe collection.
Click on the image for an enlargement
{modal images/historical/banbury_station_and_loco_shed/twybr-ks/90125_twy_bri_1961_4_29_swb_1333_800_72s.jpg|title=|width=1333|height=800}
{/modal}
A closer view of the occupation bridge with WD 2-8-0 No 90125 (Cardiff Canton) passing with a Code 8 Unfitted Freight. 29th April 1961. This location is now aforested, like a great deal of the line to Oxford. Photo: F.A. Blencowe.
Click on the image for an enlargement
{modal images/historical/banbury_station_and_loco_shed/twybr-ks/92228_twy_bri_1960_2_1_swb_1200_800_72s.jpg|title=|width=1200|height=800}
{/modal}
Looking in the opposite direction from virtually the same place but actually off the occupation bridge on a misty day on 1st February 1960. The pines show well although the nearest one had already been lost.
9F No 92228, which was one of the batch that came to Banbury new, is making light of the gradient with a Code 7 train of empty mineral wagons. Photo: F.A. Blencowe.
Click on the image for an enlargement
{modal images/historical/banbury_station_and_loco_shed/twybr-ks/2842_twy_bri_1958_10_18_swb_1333_800_72us.jpg|title=|width=1333|height=800}
{/modal}
The classic view looking south from Twyford Bridge as No 2842 (allocation unknown) eases up the hill with a medium length Code 7 freight train. 18th October 1958. Photo: S.V. Blencowe collection.
Click on the image for an enlargement
{modal images/historical/banbury_station_and_loco_shed/twybr-ks/4964_twy_bri_1958_10_18_swb_1200_800_72us.jpg|title=|width=1200|height=800}
{/modal}
Another view from the same day as Banbury's No 4964 Rodwell Hall approaches with a Down 6-coach express. 18th October 1958. Photo: S.V. Blencowe collection.
Click on the image for an enlargement
{modal images/historical/banbury_station_and_loco_shed/twybr-ks/9f_twy_bri_1960_11_8_swb_1333_800_72s.jpg|title=|width=1333|height=800}
{/modal}
One of Tyseley's 9Fs No 92212 is heading north with Code 7 unfitted coal empties. Note the extensive flooding. 8th November 1960. Photo: F.A. Blencowe.
Click on the image for an enlargement
And finally for Twyford Bridge, two colour pictures:
{modal images/historical/banbury_station_and_loco_shed/near_banbury_pass/colour-rail_brw_890_1200_800_72.jpg|title=|width=1200|height=800}
{/modal}
A fine sunny day in early May with the hawthorns in bloom sees Reading's recently shopped No 5986 Arbury Hall passing with a down short fitted freight. No date but my estimate would be the early 1960s. Colour-Rail BRW 890.
Click on the image for an enlargement
{modal images/photographs/own_photographs/1980s/twy_bri_1981c_47_fl_swb_1220_800_72.jpg|title=|width=1220|height=800}
{/modal}
Slightly more up to date, this view from around 1981 captured an unidentified Class 47 passing through the floods as if on a causeway. Photo: Steve Banks.
Click on the image for an enlargement
2 - King's Sutton station
It's best to begin with a complication... The name of the village, which goes back to antiquity, is spelled with an apostrophe: King's Sutton. When the GWR built the station, however, it misspelled the name by omitting the apostrophe. Had that happened in modern times there would have been an uproar, indeed, local people are not happy about it and you'll find the correct spelling used everywhere else. Even the railway junction on the OS map was spelled right, but the station name is stuck and so of course are the railway timetables.
In brief, the railway was built in the 1840s but the station was not added until 1872. The Banbury & Cheltenham Direct route, generaly called "the branch", was opened in 1887 whereupon King's Sutton became a junction station. Here is a plan from the OS 25" map of 1923. Being a typical country station the layout was long and narrow so the thumbnail below shows passenger facilities while the expanded view, which shows the whole site, has been rotated:
{modal images/historical/banbury_station_and_loco_shed/kings_sutton/kings_sutton_1923_1600_800_72usa.jpg|title=|width=1600|height=800}
{/modal}
Source: 25" OS 1923, National Library of Scotland.
Click on the image for an enlargement
The branch was single track and laid lightly and when a cross-country express service was instigated (with the GCR), it was a slow bottle-neck, unlike the high-speed LNER lines and, also unlike the northern companies, the "Ports to Ports" was treated by the GWR as an unimportant secondary service. There's a separate history here which has not been well done by GWR-biased hands and the upshot is that this express didn't run on a Sunday; after cessation during WWII it was diverted away from the branch; over which the local passenger service was withdrawn in 1951. Freight traffic lasted until 1964 and closure of the branch led to demoting of the station at King's Sutton to an unstaffed halt.
Post-steam
The main building and footbridge were eventually demolished, leaving only the shelter on the Down platform. Passengers had to use a barrow crossing over the tracks at the north end of the station (access to the tracks at the other end was "blocked" by a barrier and warning signs). Half of the wayside stations between Banbury-Oxford ended up being closed but the one at King's Sutton, stayed open. For a while there was even an Express service in the evening, most of whose coaches stretched beyond the platform.
Gradual raising of line speeds in modern times and a near-accident to a passenger on the crossing led to modernisation and in 2006 a new footbridge was erected and a new bus-shelter on the Up platform. The ex-GWR shelter remains on the Down side, albeit painted rather gaudily. Indeed, the whole scene is festooned with gaudy advertising. Always a minor station and for a while relegated to the status of a halt, it was never closed - unlike several other stations between Banbury-Oxford - and although reputedly the least used in Northamptonshire, it is convenient for local people and as the population expands, it is bound to see more traffic. One day (and pigs might fly) it may even have its spelling corrected...
The illustrations are in the best chronological order that I can manage as hardly any are dated.
{modal images/historical/banbury_station_and_loco_shed/kings_sutton/kings_sutton_1_swb_1333_800_72s.jpg|title=|width=1333|height=800}
{/modal}
An undated view from the 1930s shows the passenger station looking south with the main station building on the left and shelter on the right (the only remnant today) and the footbridge. To the left it's just possible to see the weighbridge office by the goods yard.
At the south end of the Up platform are the starter splitting signals for the main line and the branch. They were low to aid visibility and as the bracket would have fouled the main line, it was positioned away from the track, well clear of the running lines. It's doubly unusual because the next signals were just over a hundred yards away by the occupation bridge and signal box (the shadow in the distance), which was less than the length of a typical express. The platform-end starter was eventually removed. Note that it was omitted on the 1923 OS map.
A GWR Ordinary Passenger is approaching, hauled by an unidentified 4-6-0 "Star" and 3-4 coaches, about to stop with the porter standing by to assist as required. It's a fine sunny afternoon but no fresh passengers can be seen.
To the right, behind the railway fence are trees and bushes which grew on the spoil which was tipped there. Photo: Author's collection.
Click on the image for an enlargement
{modal images/historical/banbury_station_and_loco_shed/kings_sutton/kings_sutton_2_swb_1333_800_72s.jpg|title=|width=1333|height=800}
{/modal}
This view probably dates from the 1960s although whether before or after reduction to an unstaffed halt is not clear. Little change is evident although the splitting starters at the end of the Up platform had been removed and new station lights fitted. The level of advertising was visibly diminished. Photo: Lens of Sutton.
Click on the image for an enlargement
{modal images/historical/banbury_station_and_loco_shed/kings_sutton/kngs_sutton_3_swb_1333_800_72s.jpg|title=|width=1333|height=800}
{/modal}
Another undated view from the 1960s, of the main station building. The decorative chimney stacks are a joy to behold. Photo: Author's collection.
Click on the image for an enlargement
{modal images/historical/banbury_station_and_loco_shed/kings_sutton/kings_sutton_4_swb_1333_800_72s.jpg|title=|width=1333|height=800}
{/modal}
Strange as it may seem, relatively few pictures of the station were taken looking north. In this view an unidentified "Hall" is powering down the gradient with a 10-coach express that was probably heading towards Oxford and hence the straight route through Aynho Junction. Photo: Author's collection.
Click on the image for an enlargement
Services
{modal images/historical/banbury_station_and_loco_shed/kings_sutton/kings_sutton_890_swb_1450_800_72us.jpg|title=|width=14550|height=800}
{/modal}
A grey day sees Armstrong 0-6-0 No 890, almost certainly a Banbury loco, passing through the station in the early 1920s with a pick-up goods, possibly the 10.40am from Banbury-Kingham. It's signalled for the branch because pick-ups over it were not timetabled to shunt the yard at King's Sutton. Goods traffic between the branch and this station was handled via Banbury.
In the middle distance are the platform-end starter splitting signals, which were removed later. As touched on above, their position is a little controversial, and the offset from the Up Main greater than expected, possibly to improve sighting or because it was such a cramped location for connection to the signal box? Photo: LGRP.
Click on the image for an enlargement
{modal images/historical/banbury_station_and_loco_shed/kings_sutton/kings_sutton_3320_swb_1333_800_72s.jpg|title=|width=1333|height=800}
{/modal}
This print is dated "1920" although how accurate that is I cannot say (I understand that use of the chocolate and cream livery was not restored until 1922 and with the clerestories looking so fresh, maybe c1923 would be more accurate)?
"Bulldog" No 3320 Avalon is passing through the station with an Up express which has been made up with a non-gangwayed 3-set of Dean clerestories in chocolate and cream and a Churchward toplight carriage on the rear which is carrying the short-lived dark red livery. It's hard for me to explain why a short secondary service like this (there is a similar view in Jim Russell's book "The Banbury and Cheltenham Railway, 1887-1962", OPC, 1977) was carrying express lights and not stopping at King's Sutton, nor presumably the other wayside stations en route to Oxford. It's possible that this was off-peak and a quiet time of the day so the train was rostered to run through non-stop, a practice that I have seen elsewhere with secondary services. Operationally, depending on the stops en route, a passenger train was either an Express or Ordinary Passenger but the quality of the stock deployed was clear for all to see and an express with low-grade carriages can usefully be described as a secondary express.
Just visible behind the third carriage are the platform-end signals described above. Photo: LGRP.
Click on the image for an enlargement
{modal images/historical/banbury_station_and_loco_shed/kings_sutton/kings_sutton_2980_swb_1333_800_72s.jpg|title=|width=1333|height=800}
{/modal}
This is another picture from the early 1920s and shows "Saint" No 2989 Talisman approaching from the south with a cross-country express, the Bournemouth-Newcastle, which on this occasion was the LNER set. The body of the train consists of ex-GCR Robinson matchboard carriages built from 1911 with two-car catering (RC,TO) - a Restaurant Composite and 3rd Open Dining Car. The two carriages behind the tender without destination boards may comprise replacement on the NE Area of the 3rd brake with an ex-NER bow-ended carriage, actually a 1st/3rd brake. Behind it is either another substiution or a strengthener via an ex-GCR Parker-style 3rd from c1904.
The GWR loco, possibly from Reading, will come off at Banbury and the train be taken over by an LNER loco from Woodford Halse.
Returning to a previous theme, it's possible to see behind the second carriage the splitting signal by the occupation bridge and how sighting of the lower arm was aided by a white rectangle painted on the bridge. During BR days conventional screens were attached behind the semaphore arms. Photo: LGRP.
Click on the image for an enlargement
{modal images/historical/banbury_station_and_loco_shed/kings_sutton/kings_sutton_5354_swb_1333_800_72s.jpg|title=|width=1333|height=800}
{/modal}
Another cross-country express probably captured on the same day approaches in the same direction although this one has come off the Cheltenham Direct line. It's the "Ports to Ports" headed by a GWR 2-6-0 (the largest locos allowed at the time) No 5354. The ex-GCR 5-set of Robinson matchboards with catering is leading, plus the Hull carriage on the rear. Note the triple destination boards, a feature of GC operations and, of course, good PR.
In the background there's a glimpse of the crane in the goods yard. Photo: LGRP.
Click on the image for an enlargement
{modal images/historical/banbury_station_and_loco_shed/kings_sutton/kings_sutton_5051_swb_1313_800_72su.jpg|title=|width=1313|height=800}
{/modal}
Finally for now, a b&w image taken in 1984 to show a train in preserved days while the ex-GWR station nameboards were still in place. No 5051 Drysllwyn Castle races through the station on 14th April 1984 with a north-bound special. This was the original named, renamed in 1937 by the GWR as Earl Bathurst.
Sadly, after this picture appeared on the Banbury Guardian - which lovingly ran it on the front page - the vintage nameboard seemed to be deemed incongruous with the modern railway and it and its cast-iron pillars were smashed and tossed into the old goods yard. Photo: Steve Banks.
Click on the image for an enlargement
I'm not going to show modern images, only this one which isn't all that recent because, for a while in the 1970s and '80s, there used to be a post-rush hour express from Paddington which included a Gresley Buffet Car and terminated at Banbury, where the loco ran round and returned the train to Oxford - calling only at King's Sutton. The train was far too long for the station and repeated announcements had to be made over the PA that passengers for King's Sutton should board the leading three coaches.
Here is the train arriving in August 1983 behind an unidentified Class 50, its nine coaches now containing a BR Mk.1 Buffet Car. As can be seen, most of the train was stretching far beyond the platform. I never learned the thinking behind this luxurious service to a wayside halt. If anyone can throw any light on it I'd be pleased to hear.
Network South East livery had yet to arrive and the halt still looked peacefully rural. It's just possible to make out on the south end of Down platform, the wooden ex-GWR station nameboard still in place on its cast iron pillars. Photo: Steve Banks.
Click on the image for an enlargement
To be continued....

